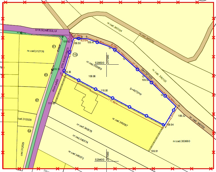
ARAD. O „zonă de locuire şi funcţiuni complementare” ar urma să prindă contur pe o parcelă de 4.572 de metri pătraţi situată în cartierul Grădişte, pe strada Rândunicii nr.102 (la intersecţie cu strada Someşului). Proiectul este în fază incipientă, investitorii – Bogdan Sorin Valicsek şi Emanuela Claudia Valicsek – anunţând administraţia în legătură cu intenţia lor de a întocmi Planul Urbanistic Zonal pentru acest obiectiv.
Iniţiatorii proiectului „solicită schimbarea funcțiunii zonei propuse spre reglementare, din zonă cu destinație agricolă în zonă cu destinație locuire și funcțiuni complementare. Se dorește parcelarea în aproximativ 6 loturi pentru locuințe individuale (izolate sau cuplate) și modernizarea drumului de exploatare existent pentru a se asigura accesul la parcelele pentru care nu se poate asigura accesul direct din strada Rândunicii” – se arată în Memoriul de prezentare a investiţiei.
Detalii
Construcţiile pentru funcţiunile propuse vor fi pe structura beton și zidărie, lemn sau metal, având regimul de înălţime de maximum D+P+1E sau P+1E+Er.
„Se vor asigura dotări tehnico-edilitare prin extinderea și branșarea la rețele publice de apă, canalizare menajeră, electricitate, gaze naturale sau se vor găsi soluții locale în cazul în care extinderea rețelelor existente se va dovedi a fi nefezabilă sau la costuri neproproționale cu investiția propusă. Terenul va fi amenajat cu racorduri carosabile pentru acces pe fiecare lot, alei pietonale şi zone verzi. Accesul carosabil înspre incintă se va realiza direct, din strada Rândunicii pentru parcelele cu front stradal pe această stradă, iar pentru restul parcelelor dinspre drumul de exploatare De1797/105, propus spre modernizare și extindere. Drumul existent (cu o lățime de 5 etrim în prezent) se va lărgi si se va moderniza, va avea un prospect stradal de 9 metri, cu un carosabil de 6 metri, sens dublu. Parcajele se vor realiza pe lot propriu. Se va asigura minimum 1 loc de parcare/ locuinţă” – indică documentul citat.
În completarea zonei
„Funcţiunea propusă se integrează în zonă fără să afecteze negativ arealul studiat. Situarea incintei reglementate în cartierul Grădiște, pe strada Rândunicii asigură un acces facil la zona reglementată. Amenajările propuse vor completa zona, unde tot mai multe terenuri agricole sunt reglementate și devin zone de locuit” – se mai arată în Memoriul de prezentare a investiţiei.
Consultare
Documentația privind proiectul de faţă poate fi consultată la sediul Primăriei Municipiului Arad, Serviciul Dezvoltare Urbană și Protejare Monumente, camera 49, până la 1 iunie 2020, în zilele lucrătoare, între orele 8-11. Observațiile pot fi transmise în scris la sediul Primăriei Municipiului Arad, B-dul Revoluției, nr.75, Serviciul Relații cu Publicul până la aceeaşi dată.
Trimite articolul
Xf bine . la ce ne si trebuie atata zona agricola, nu? Pe locul fostelor sere din gradiste distruse si alea nu se pot face niscaiva blocuri. ?Ca tot nu aveam nevoie de sere care au fost distruse ca cica erau comuniste si apoi vedem in magazine petrunjel morcovi rosii ardei etc din import. Este ? este !
-
sere care au fost distruse-de cine?cine a distrus economia aradului?nu o sa-ti placa ce-ti spun,aradenii,da angajatii acelor fabrici,sere etc,au pus umarul virtos la demolarea fabricilor unde se faceau ca lucreaza,nu incerca sa ma contrazici,am fost acolo,am plecat in iarna lui 92 cind am vazut ca fabrica e pe butuci-vorbesc de strungul-si la fel s-a intimplat peste tot,mai putin vagoanele o parte
Copilariind in aceasta zona , dupa cite imi aduc aminte in partea de west(Daca nu gresesc) a strazi rindunicii tranverseaza niste conducte cu apa pe sub pamint (in ani 70 in timpul constructieii a sapaturilor niste copii sau jucat la acele vremuri si malul surpinduse facid victime) intrebarea este cine ar vrea sa isi construiasca casa peste niste conducte….
-
Imi aduc aminte dupa ani 90 sa avariat coloana de apa ce trebe prin cimp sa facut un lac in zona (bucuria noastra fiind copii)intre rindunicii si somesului sint niste conducte mari peste un metru grosimea merg paralel cu rindunicii
-
cine nu cunoaște își cumpara lot….eu sunt născut in 90, am copilărit doar in gradiste dar nu știam de problema asta. bine ca ai anunțat,poate sunt alții interesați.
care comenteaza aurea va fi sustras la rspundere
-
sustras la răspundere….vai vai
S-or trezit peste noapte investitorii acum ca vine criza:)))). Toți vor sa se îmbogățească peste noapte.
De multă vreme trebuia extinsă dezvoltare Imobiliară în zonă vezi Timișoara care și a mărit arealul cu localități de genul Dumbrăvița și Moșnița Nouă ideea este că primăria ar putea face un proiect de scoatere în aceste zone de dezvoltare a unităților generatoare de aglomerări urbane din municipiu de tipul Tribunalului,Direcția Agricolă, finanțe, Spitalul de boli infecțioase s a m d…. se pot muta aceste instituții acolo în câteva luni descongestionand municipiul Arad fără intervenții inginerești pe tronsonul Vlaicu Calea Timișoarei nu trebuie să fi expert pentru a a sugera o asemenea finalitate dar probabil ca o să vină ceva comisie din Germania Olanda Italia etcetera care vă spune același lucru ca și mine…..
O zi buna tuturor
